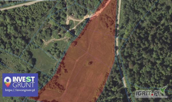
[8,80 ha] grunty rolne przetarg nieograniczony na 3-letnią dzierżawę [powiat leski woj. podkarpackie] użytek ŁIV,PsIV, roczny czynsz wywoławczy 3172,00 zł, wadium 320,00 zł do 14.08.2025, termin przetargu ustnego 21.08.2025 godz. 09:00
Pilne
Szukaj ogłoszenia
[8,80 ha] grunty rolne przetarg nieograniczony na 3-letnią dzierżawę [powiat leski woj. podkarpackie] użytek ŁIV,PsIV, roczny czynsz wywoławczy 3172,00 zł, wadium 320,00 zł do 14.08.2025, termin przetargu ustnego 21.08.2025 godz. 09:00
Pamiętaj o zasadach bezpieczeństwa - zanim dokonasz płatności sprawdź wiarygodność kontrahenta!
Nowy Dwór
11,18 ha Nowy Dwór przetarg nieograniczony na...
cena do uzgodnienia
Rabiąż
5,44 ha Rabiąż przetarg nieograniczony na 3.....
cena do uzgodnienia
Jagoszyce
17,39 ha Jagoszyce przetarg nieograniczony na...
cena do uzgodnienia
Międzyrzecz
11,86 ha Miedzyrzecz przetarg nieograniczony....
cena do uzgodnienia
Boronów
11,10 ha Boronów przetarg nieograniczony na 5...
cena do uzgodnienia
Nidzica
Przetarg na dzierżawę 9,08 ha gruntu rolnego...
cena do uzgodnienia
Muniaczkowice
Witam wezmę w dzierżawę, wydzierżawie grunty...
cena do uzgodnienia
Węgrów
Kupię grunty orne , łąki min. 2 ha . Tel . 6.....
cena do uzgodnienia
Rogów Wołowski
Działka rolna o powierzchni 39,5244 ha w...
cena do uzgodnienia
Bochnia
Przetarg na dzierżawę 7,02 ha gruntu rolnego...
cena do uzgodnienia
Pilne
Pilne
Finanse
WYPADEK
Pilne
Finanse